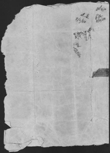
MAKE A MEME View Large Image Julius & Ethel Rosenberg and Martin Sobell, Government Exhibit 10, brown paper wrapper which contained... - NARA - 278755.jpg Scope and content After the February 1950 arrest of Klaus Fuchs Julius Rosenberg contacted David Greenglass and ...
View Original:U.S._vs._Julius_&_Ethel_Rosenberg_and_Martin_Sobell,_Government_Exhibit_10,_brown_paper_wrapper_which_contained..._-_NARA_-_278755.jpg (2152x3000)
Download: Original    Medium    Small Thumb
Courtesy of:commons.wikimedia.org More Like This
Keywords: U.S. vs. Julius & Ethel Rosenberg and Martin Sobell, Government Exhibit 10, brown paper wrapper which contained... - NARA - 278755.jpg Scope and content After the February 1950 arrest of Klaus Fuchs Julius Rosenberg contacted David Greenglass and told him to leave the country because Fuchs's arrest would lead to the arrest of Harry Gold When Gold was arrested in May Rosenberg allegedly gave his brother-in-law 1 000 for expenses to leave the United States and a few days later gave him an additional 4 000 in this brown wrapper along with instructions on how to escape to Czechoslovakia with the aid of the Soviet Government General notes 278755 Local identifier Department of Justice Office of the U S Attorney for the Southern Judicial District of New York 1870 - Most Recent <br /> Office of the Attorney General Office of the U S Attorney for the Southern Judicial District of New York 04/09/1814 - 1870 Predecessor NARA's Northeast Region New York City NRAAN 201 Varick Street New York NY 10014-4811 1951-03-13 Record group Record Group 118 Records of U S Attorneys 1821 - 1994 Record group ARC 447 Selected Case Files compiled 1847 - 1986 Series ARC 278744 File unit Exhibits from the Julius and Ethel Rosenberg Case File 03/13/1951 - 03/27/1951 File unit ARC 278745 Variant control numbers NAIL Control Number NRAN-118-SDUSATTY-114868-7 13 Other versions <gallery> File U S _vs _Julius_ amp _Ethel_Rosenberg_and_Martin_Sobell _Government_Exhibit_10 _brown_paper_wrapper_which_contained _-_NARA_-_278755 tif tif File U S _vs _Julius_ amp _Ethel_Rosenberg_and_Martin_Sobell _Government_Exhibit_10 _brown_paper_wrapper_which_contained _-_NARA_-_278755 jpg jpg </gallery> NARA-cooperation PD-USGov Rosenberg trial
Terms of Use   Search of the Day